|
Digital Guide to Moth Identification |
|
|
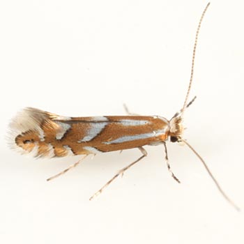
Gracillariidae
33a0325 –
0759 Phyllonorycter intermixta
(Braun, 1930)
|
||||||||
| Photographs are the copyrighted property of each photographer listed. Contact individual photographers for permission to use for any purpose. | ||||||||
Reared - © Charley Eiseman |
||||||||
|
||||||||
| References (Caution: DNA barcoding at BOLD provides evidence of relatedness, not proof of identification; some BOLD specimens shown may not be sequenced.) | ||||||||
|
Moth Photographers Group at the Mississippi Entomological Museum at the Mississippi State University
Send suggestions, or submit photographs to Webmaster — Moth Photographers Group
Database design and scripting support provided by Mike Boone